조황관리HOME / 조황관리 / 상세정보

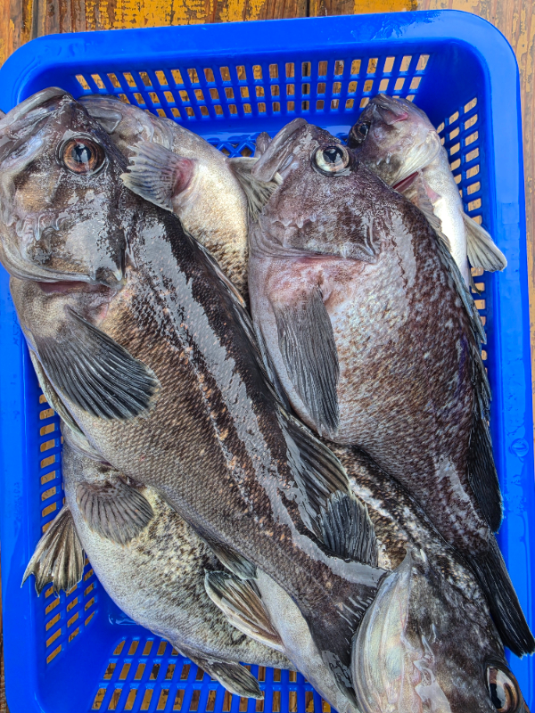
제목 : 2026.04.10.조금.금요일. 뉴마린호 우럭 라이트지깅 조황 입니다
등록일 : 2026-04-10
#꼬리달린고기조황 
2026.04.10.금요일.조금
뉴마린호 우럭 라이트지깅 조황 입니다!

안녕하세요
오랜만에 출조 다녀왔습니다ㅎㅎ
이제는 어초에서도 우럭이들 보는 빈도가 훨씬 늘었네요ㅎㅎ
우당탕이 많이 없어서 아쉬웠지만
그랴도 슬금슬금 광어들도 나와주고
뭔가 희망회로를 돌리게되는 하루였습니다!

어제 비가와서 그런지 오늘 굉장히 추웠는데도
열심히 낚시해주셔서 감사드립니다^^
고생 많으셨고 다음에 또 뵙겠습니다!!
20260410_144440.jpg


20260410_155309.jpg


20260410_155300.jpg


20260410_155107.jpg


20260410_144406.jpg


20260410_090754.jpg


20260410_085709(0).jpg
 


KakaoTalk_20251209_182659400_01.jpg


3EEA0E86-0BB3-4A2E-B804-84CE2FF7497F.jpeg


출항포구 백사장항

넓은 주차공간 ! 

주차때매 스트레스 NO!
주변
 다양한 편의시설 !

예약은 아래 주소클릭 해주세요!



항상 최선을 다하는 마린호&무야호가 되겠습니다.

밴드가입후 활동하시면 많은 혜택이 있습니다^^

네이버카페 주소 - https://cafe.naver.com/ammarineho

네이버밴드 주소 - https://band.us/@1115

감사합니다.

 

- 백사장항 마린피싱 선단 -

마린호 큰선장님 ☎ 010 - 4468 - 1115

무야호 작은선장 ☎ 010 - 4315 - 3317
진주만 랑선장님 ☎ 010 - 8723 - 8458

홈페이지 : http://marineho.sunsang24.com/

안면도 백사장항 (우럭.광어.농어.백조기.주꾸미.갑오징어.문어) 출조

Top