조황관리HOME / 조황관리 / 상세정보

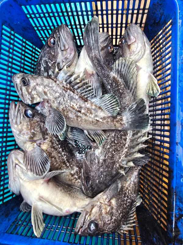
제목 : 2025.11.30 일요일 2물/ 뉴마린호 외수질 조황입니다
등록일 : 2025-11-30



2025.11.30 일요일 2물
뉴마린호 외수질 조황 입니다

안녕하세요
오랜만에 뵙습니다 ㅎㅎ

오늘은 뉴마린호로 나가는 첫 외수질을 다녀왔는데요
어우 오늘은 분명 기상이 좋다고 나와있었는데
시작부터 끝까지 너울이랑 친구하다 왔네요ㅠㅠ

너울이 높긴 했지만 빵 좋은 애들도 잘 올라와주고
피딩도 몇 차례 와주고 나름 성공적이었던 것 같네요ㅎㅎ

내일부터 또 기상이 좋지 않아서 며칠 또 푹 쉬다가
주말에 뵙겠습니다!ㅠㅠ

오늘도 찾아주신 조사님들 모두 고생 많으셨고 감사합니다!
20251130_081105.jpg


20251130_081647.jpg


20251130_082230.jpg


20251130_082517.jpg


20251130_090203.jpg


20251130_101229(0).jpg


20251130_090629.jpg


20251130_101307.jpg


20251130_112408(0).jpg


20251130_122346.jpg


20251130_122732.jpg


20251130_152458.jpg


20251130_161531.jpg


20251130_161543.jpg


20251130_161608.jpg


20251130_162049.jpg
 


3EEA0E86-0BB3-4A2E-B804-84CE2FF7497F.jpeg


출항포구 백사장항

넓은 주차공간 ! 

주차때매 스트레스 NO!
주변
 다양한 편의시설 !

예약은 아래 주소클릭 해주세요!



항상 최선을 다하는 마린호&무야호가 되겠습니다.

밴드가입후 활동하시면 많은 혜택이 있습니다^^

네이버카페 주소 - https://cafe.naver.com/ammarineho

네이버밴드 주소 - https://band.us/@1115

감사합니다.

 

- 백사장항 마린피싱 선단 -

마린호 큰선장님 ☎ 010 - 4468 - 1115

무야호 작은선장 ☎ 010 - 4315 - 3317
진주만 랑선장님 ☎ 010 - 8723 - 8458

홈페이지 : http://marineho.sunsang24.com/

안면도 백사장항 (우럭.광어.농어.백조기.주꾸미.갑오징어.문어) 출조

Top