조황관리HOME / 조황관리 / 상세정보

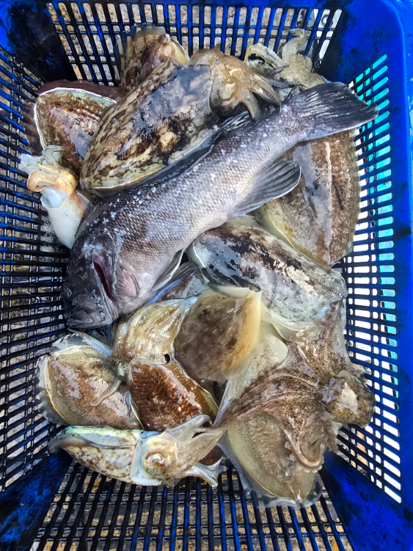
제목 : 2025.10.31. 금요일 2물. 뉴마린호 갑오징어 조황 입니다
등록일 : 2025-10-31



2025.10.31 금요일 2물
뉴마린호 갑오징어 조황 입니다
 
안녕하세요
오늘도 먼바다에서 씨알 위주로
한땀한땀 줍고 돌아왔습니다!
 
물이 안가는 와중에 피딩 타임이 몇 번 와주기는 했지만 
짧아서 아쉬웠네요ㅠㅠ
 
오늘도 고생해주신 조사님들 감사드립니다!

20251031_083926.jpg


20251031_090216.jpg


20251031_101946.jpg


20251031_165111.jpg


20251031_164414.jpg


20251031_164301.jpg


20251031_164108.jpg


20251031_163659.jpg


20251031_164848.jpg


20251031_165159.jpg


20251031_165114.jpg


 


3EEA0E86-0BB3-4A2E-B804-84CE2FF7497F.jpeg


출항포구 백사장항

넓은 주차공간 ! 

주차때매 스트레스 NO!
주변
 다양한 편의시설 !

예약은 아래 주소클릭 해주세요!



항상 최선을 다하는 마린호&무야호가 되겠습니다.

밴드가입후 활동하시면 많은 혜택이 있습니다^^

네이버카페 주소 - https://cafe.naver.com/ammarineho

네이버밴드 주소 - https://band.us/@1115

감사합니다.

 

- 백사장항 마린피싱 선단 -

마린호 큰선장님 ☎ 010 - 4468 - 1115

무야호 작은선장 ☎ 010 - 4315 - 3317
진주만 랑선장님 ☎ 010 - 8723 - 8458

홈페이지 : http://marineho.sunsang24.com/

안면도 백사장항 (우럭.광어.농어.백조기.주꾸미.갑오징어.문어) 출조

Top